Data publikacji
Urząd

Wkrótce nowe udogodnienie w przestrzeni publicznej

Wkrótce nowe udogodnienie w przestrzeni publicznej

Dostrzegając potrzeby mieszkańców, 25 marca 2020 r. Gmina Połczyn-Zdrój ogłosiła postępowanie o zamówienie publiczne w trybie zapytania ofertowego na zadanie związane z dostawą oraz montażem miejskiej toalety publicznej przy ul. Wojska Polskiego w Połczynie-Zdroju.

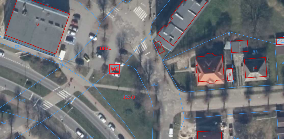
Toaleta znajdować się będzie na terenie utwardzonym przy sąsiednim sklepie wielkopowierzchniowym (lokalizacja przedstawiona jest na mapie). Obiekt będzie czynny cały rok, ale korzystane możliwe będzie za opłatą.
Obiekt będzie spełniał najnowsze standardy w tym zakresie. W wyposażeniu znajdzie się m.in. wandaloodporna umywalka z baterią dozującą wodę na dotyk, dozownik mydła i płynu dezynfekcyjnego, automatyczna suszarka do rąk, kosz na śmieci, wieszak na garderobę, poręcz – uchwyt przy WC i przy umywalce dla osób niepełnosprawnych z odpowiednim atestem, dyfuzor zapachów, wentylacja mechaniczna włączająca się z chwilą odblokowania drzwi lub sterowana światłem, system alarmowy wraz z instrukcją oraz sygnalizacją zatrzaśnięcia osoby wewnątrz toalety, oświetlenie wnętrza automatyczne - tylko na czas użytkowania (w razie braku dopływu energii elektrycznej podczas użytkowania włączy się oświetlenie awaryjne) oraz składany przewijak dla niemowląt.
Termin składania ofert przypadał na 7 kwietnia 2021 r. Swoją ofertę złożyły 4 firmy gotowe do realizacji toalety publicznej. Termin realizacji przypada na 31 sierpnia 2021 r. 

Najczęściej czytane

herb Połczyna-Zdroju
Data publikacji:
  • Mieszkańcy
UWAGA!!! W dniu 23.12. 2025 r.(wtorek) Urząd Miejski będzie czynny  do godziny 12:00 Za utrudnienia przepraszamy
więcej informacji
KOMUNIKAT
Data publikacji:
  • Mieszkańcy
W DNIU 24 GRUDNIA 2025 R. NIE BĘDĄ ODBYWAŁY SIĘ KURSY AUTOBUSOWE, PONIEWAŻ JEST TO DZIEŃ WOLNY OD PRACY, ZGODNIE Z USTAWĄ Z DNIA 6 GRUDNIA 2024 R. O ZMIANIE USTAWY O DNIACH WOLNYCH OD PRACY, KTÓRA WES…
więcej informacji
Harmonogram odbioru odpadów komunalnych z terenu Gminy Połczyn-Zdrój na rok 2026
Data publikacji:
  • Mieszkańcy
więcej informacji